

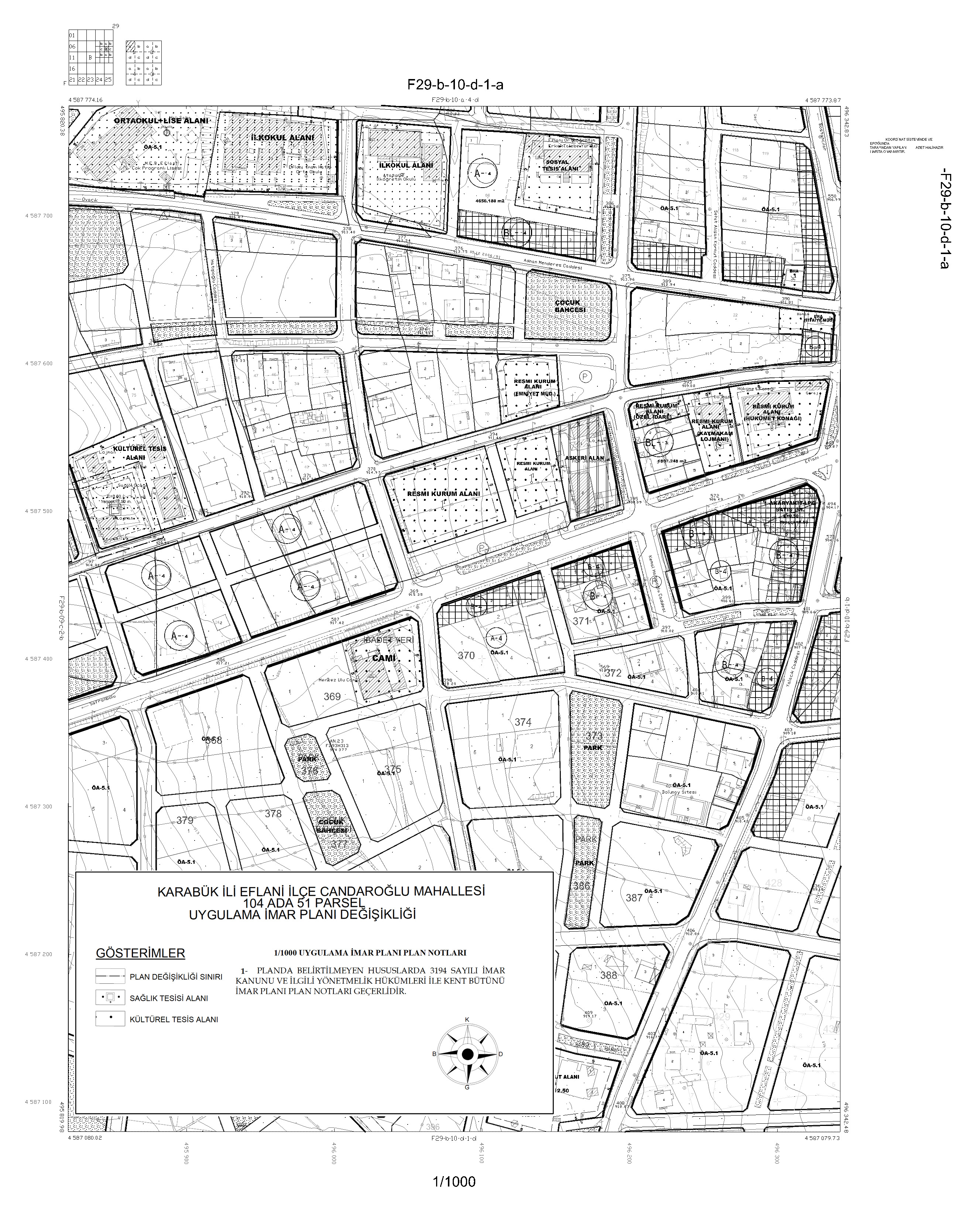
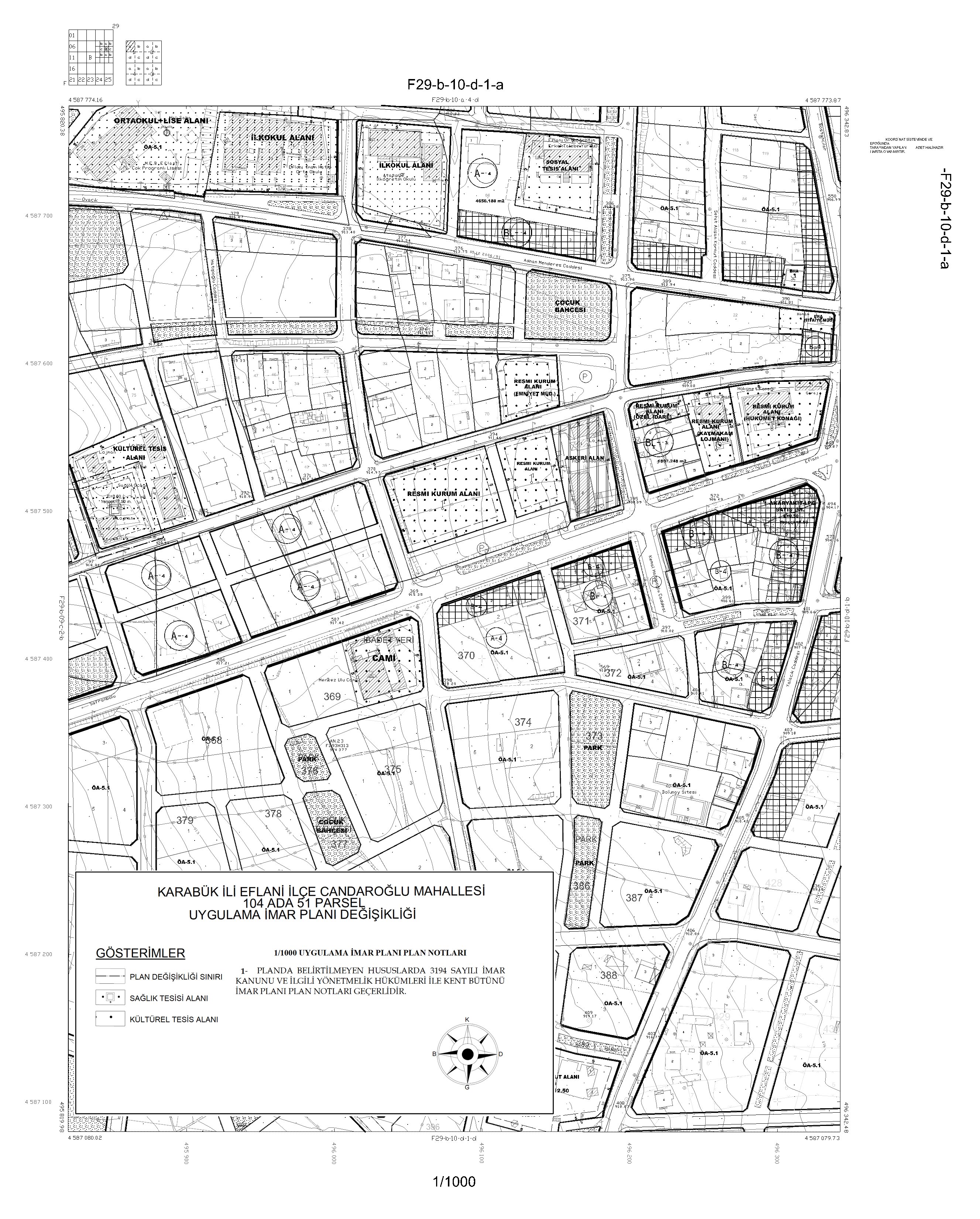
KARABÜK İLİ, EFLANİ İLÇESİ, CANDAROĞULLARI MAHALLESİ 104 ADA, 51 PARSEL PLANI DEĞİŞİKLİĞİ
19.01.2026 Tarih ve 10 Sayılı Belediye Meclis Kararı gereği; Karabük İli, Eflani İlçesi, Candaroğulları Mahallesi, 104 Ada 51 Parsel sayılı taşınmazın 1/5000 ölçekli Nazım İmar Planı ve 1/1000 ölçekli Uygulama İmar Planı Değişikliği 30 (otuz) gün süre ile askıya çıkarılmıştır ilanen duyurulur.

Haber tarihi: 19 / 01 / 2020
Haber Yorumları: 0
